CTITV LOGO
LIVE 24HR
  • 長榮空姐今火化
  • 藍營黨魁爭霸戰
  • 即時
  • 熱門
  • 要聞
  • 社會
  • 娛樂
  • 體育
    • 雙北世壯運
  • 生活
  • 國際
  • 大陸
  • 影音
    • 每日必看
    • 熱搜發燒榜
    • 大新聞大爆卦
    • 辣晚報
    • 頭條開講
    • 全球大視野
  • 健康
    • 財經
  • 長榮空姐今火化
  • 藍營黨魁爭霸戰
  • 即時
  • 熱門
  • 要聞
  • 社會
  • 娛樂
  • 體育
  • 生活
  • 國際
  • 大陸
  • 影音
  • 健康
  • 快點購
  • 財經
  1. 中天新聞網
  2. 中南半島

中南半島相關報導

有5項結果

開學日遇新颱風?熱帶低壓TD17生成 專家:路徑類似劍魚
開學日遇新颱風?熱帶低壓TD17生成 專家:路徑類似劍魚
生活

開學日遇新颱風?熱帶低壓TD17生成 專家:路徑類似劍魚

天氣預報

雷陣雨

氣象署

路徑預測

中南半島

午後對流

熱帶低壓TD17

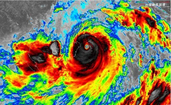
風速超車凱米!摩羯颱風奪下今年「風王」 預計今傍晚登陸海南島
風速超車凱米!摩羯颱風奪下今年「風王」 預計今傍晚登陸海南島
生活

風速超車凱米!摩羯颱風奪下今年「風王」 預計今傍晚登陸海南島

颱風

摩羯颱風

海南島

中南半島

風王

鷹擊2024中泰空軍聯訓現「殲-11BSH」 陸媒分析:在警告「這國家」
鷹擊2024中泰空軍聯訓現「殲-11BSH」 陸媒分析:在警告「這國家」
大陸

鷹擊2024中泰空軍聯訓現「殲-11BSH」 陸媒分析:在警告「這國家」

大陸

泰國

空軍

聯合軍演

解放軍

殲11

中南半島

越南

鷹擊2024

中南半島「火點」持續密集 鄭明典示警異常熱源:不能說和我們無關!
中南半島「火點」持續密集 鄭明典示警異常熱源:不能說和我們無關!
生活

中南半島「火點」持續密集 鄭明典示警異常熱源:不能說和我們無關!

鄭明典

中南半島

天氣

季風

氣候變遷

火點

火耕

不只沒動靜!中南半島對流「超奇穩定」 鄭明典擔心:前所未見
不只沒動靜!中南半島對流「超奇穩定」 鄭明典擔心:前所未見
生活

不只沒動靜!中南半島對流「超奇穩定」 鄭明典擔心:前所未見

鄭明典

天氣

對流

氣象

海溫

中南半島

相關標籤:

雷陣雨

天氣預報

午後對流

路徑預測

氣象署

熱帶低壓TD17

    CTITV LOGO
    新聞、影音、節目、直播、社群及App都深獲網友喜愛,在全世界各地華人亦頗受歡迎,全球擁有2000萬粉絲。

    追蹤我們

    • Twitter
    • Facebook
    • Instagram
    • Line
    • TikTok

    新聞分類

    • 長榮空姐今火化
    • 藍營黨魁爭霸戰
    • 即時
    • 要聞
    • 社會
    • 娛樂
    • 體育
    • 生活
    • 國際
    • 大陸
    • 影音
    • 健康

    影音專區

    • 24小時直播
    • 影音節目

    關於我們

    • 中天介紹
    • 人才招募
    • 使用條款
    • 隱私權條款
    • 免責聲明
    • 商務合作方案

    客服資訊

    • 公告
    • 常見問題
    • 聯絡我們
    • 我要爆料
    • 我要投稿

    聯絡我們

    • 中天電視股份有限公司
    • 臺北市內湖區民權東路六段25號
    • 總機:(02)6600-7766
    • 客服專線:02-2792-3151
    • 客服信箱:service@ctitv.com.tw

    中天新聞網版權所有 © 2022 CTiTV Inc. all Rights Reserved.

    China Times Group