有491項結果
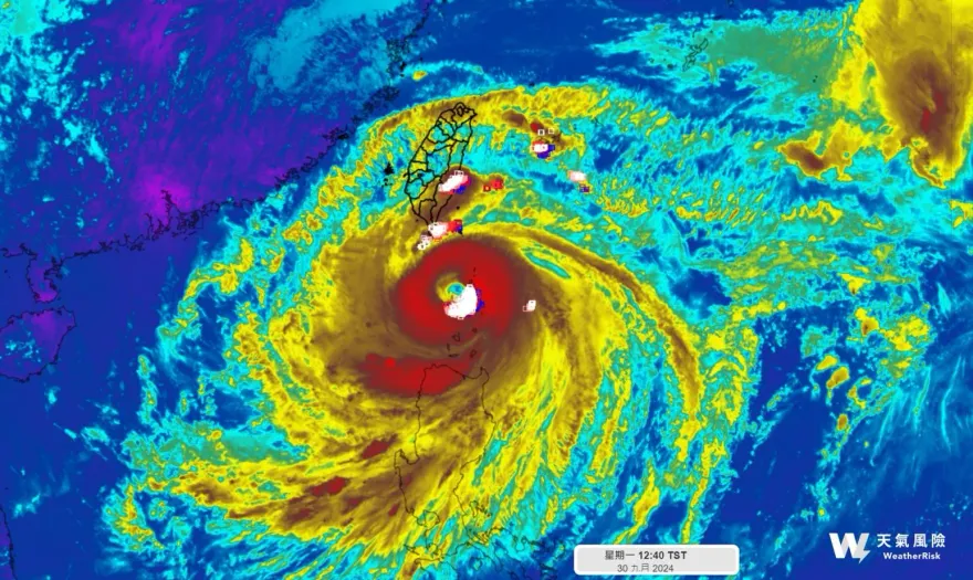
山陀兒颱風
台東縣
停班停課
饒慶鈴
颱風
山陀兒
...
台北市
高中女生
冒雨
跨坐
校舍
頂樓
女兒牆
秋颱
宜蘭縣政府
海巡署
勸離
水庫
石門水庫
放水
水利署
放流警戒
颱風中心
雨勢
颱風路徑
萊爾富
台東
撤村
住戶
池上鄉
土石流
台9線
屏東
颱風強度
花蓮
豪雨
鐵公路停駛
氣象署
閃電
中度颱風
颱風假
盧秀燕
台中市
清水斷崖
蘇花公路
國家警報大響
暴雨
恆春半島
觸陸
國防部
花防部
災防整備
預置兵力
宜蘭
頭城
防颱
鄭明典
台北盆地
匯德隧道
台九線
封閉道路
中颱
類鼻疽
類鼻疽病
類鼻疽伯克氏菌
三星蔥
搶收
青蔥
共伴效應
降雨
蔣萬安
暴風圈
高屏地區
東港
恆春
登陸
中央山脈
外圍環流
陸上颱風警報
強烈颱風
海上颱風警報
強颱
陸上警報
台9丁線
路樹倒塌
阻斷
災情
蘇花公路提供路況資訊的朋友
巴士海峽
台灣颱風論壇|天氣特急
中央氣象署
用事實說颱風
蘭嶼
7旬翁
壞死性筋膜炎
敗血性休克
黑鷹直升機
跨海
後送
海上警報
擴大
大雷雨特報
大雨
雷擊
菜價
北農
空心菜
颱風預期心理
周一休市
基隆
大武崙沙灘
封閉
潮境保育區
東北風
大雨特報
下雨
記者會
伍婉華
疫情
衛福部
併發重症
土壤
汙水
CTWANT
海警
護國神山
民航局
國內線
取消
高雄機場
台北市府
總統
侯友宜
賴清德
民進黨
新北市長