有159項結果
輕颱
暴風圈
警戒範圍
海陸警
...
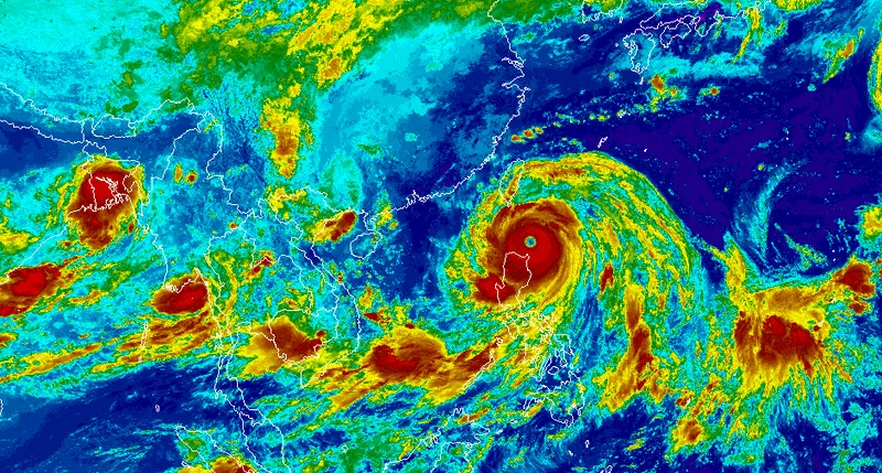
鳳凰颱風
觸陸
陸警範圍
熱帶性低氣壓
登陸
登陸點
外圍環流
豪雨
強風
恆春半島
登陸台灣
台南市
高雄市
屏東縣
陸上颱風警報
豪雨警戒
氣象報馬仔
共伴效應
高雄
屏東
海上颱風警報
東北季風
大台北
東半部
氣象署
暴風圈侵襲機率
中颱
菲律賓
北轉
下雨
天氣
降溫
中央氣象署
日本氣象廳
呂宋島
南部
強颱
迎風面
北部
東部
北上
海上陸上颱風警報
樺加沙颱風
長榮航空
Flightradar24
航班
全智賢
辱華
樺加沙
風雨持續
豪雨特報
超大豪雨
花東山區
陸警
強烈颱風
台灣
強風特報
巴士海峽
高壓系統
台東縣
颱風
強風豪雨
超級颱風
台東
花蓮
風雨預警
林得恩
劇烈降雨
全台風雨
停班課
陸上警報
防颱
警戒
大陸
下架
海洋拉娜
伯爵錶
海警
恆春
高溫
颱風環流沉降
開眼
強度
港澳
路徑
台灣颱風論壇|天氣特急
天氣職人-吳聖宇
角隅效應
中颱上限
海陸警報
台灣天氣
三颱共舞
豪大雨特報
強陣風
颱風預報
韓劇
抵制
南韓
楊柳颱風
巧合
氣象粉專
金門
澎湖
太麻里
鏡頭君
綠島
東部海岸國家風景區
即時影像
蘭嶼
陣風
停電
豪大雨
東清部落
黑潮
停班停課
風力
15級陣風
巔峰
東南部海域