有4847項結果
鳳凰颱風
颱風假
張善政
桃園市長
網友
...
陳駿季
芬普尼
雞蛋
農業部
菜價
台南
馬太鞍溪
明利村
洪水淹沒
淹沒
大排
警車
馬太鞍溪便橋
洪水
泥流
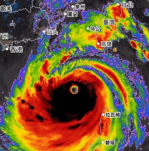
鳳凰
東北季風
風城
新竹
颱風
戴立綱
輕颱
登陸台灣
暴風圈
強風
台南市
高雄市
屏東縣
氣象署
祭品文
大氣系
台大
學生會
雞排
珍奶
出海
漁船
來襲
漁具
災害防救法
海巡署南部分署
安平區
安平商港安檢所
安平商港
陸上颱風警報
中央災害應變中心
總統
賴清德
蔣萬安
停課停班
台北市政府教育局
台北市
外圍環流
核二廠
土石崩落
侯友宜
新北市政府
新北市
豪雨
宜蘭
雨勢
台東縣
槽化車
撞擊
路邊
車禍
天雨路滑
打滑
豪雨警戒
花蓮縣
堰塞湖
行政院
卓榮泰
立法院
林保署
鳯凰颱風
花蓮
災情
河道
光復鄉
台東
台東大學
氣象報馬仔
共伴效應
北投區
公園
大樹
倒塌
砸壞
致災降雨
東半部
北部山區
吳聖宇
登陸點
高雄沿海
風雨預報
停班課
王軍凱
台灣大學大氣科學系
徐榛蔚
萬榮鄉
台9線
林得恩
下雨
高雄
屏東
恆春半島
中颱
南瑪都
破紀錄
布洛灣
淹水
累積雨量
鄭明典
郭音蘭
陸上強風特報
天氣
台中
盧秀燕
桃園機場捷運
行駛
輝達
北士科
北市府
新壽
解約金
李四川
桃園
風黃颱風
阿里山林鐵
嘉義
阿里山
停駛
眠月線
阿里山國家森林遊樂區
豪雨預警
颱風路徑
台灣颱風警報
文化大學
中央氣象署
台北市長
咕嚕
臉書
台北市民
陽明山
國道3號
高屏溪
高架路段
最高速限
降速
開車
高公局
高屏溪橋
南投
山難
郡大山
東埔登山口
台灣
南海
台灣海峽
登陸
強度
強颱風
日本氣象廳
海上颱風警報
陸上警報
豪雨特報
宜蘭縣
大豪雨
超大豪雨
山區
大雪山
八仙山
武陵
國家森林遊樂區
墾丁
雙流國家森林遊樂區
休園
步道
預警性封閉
臨時便道
南興段
多良段
沿海
新城
預防性撤離
和平派出所
撤離居民
和平村
地震
苗博雅
賈新興
開戰
熱帶性低氣壓
熱帶擾動
謝寒冰
黑熊學院
洛鞍