有259項結果
...
蝴蝶颱風
熱帶性低氣壓
登陸台灣
成颱
台灣颱風論壇|天氣特急
強降雨
館長
上海
大陸
磁浮列車
館長登陸
氣象局
颱風
蝴蝶
登陸
廣東
天氣
國軍
基隆
乞丐兵
制服
整齊
美國
檔案
520
賴清德
解放軍
就職
演習
戰車
兩棲
山東凱哥
海巡署
偷渡
橡皮艇
海巡
抖音網紅
五星旗
副署長
謝慶欽
海巡署副署長
桃園
抖音
觀音
海邊
SSG登陸者
韓職
崔廷
500轟
兩棲突擊車
導彈
台海
武力犯台
ZTD-05
紅箭-10
張競
登陸駁船
自升式平台船
攻台
接駁船
台灣
小艦長
呂禮詩
登陸船
人形立牌
德克士
TOP登陸少年
蘇新皓
台海戰爭
登陸艦
海軍
美軍
泰國
印太司令部
金眼鏡蛇演習
人道救援
兩棲登陸
廣州
張延廷
倍力橋
國安局
海底電纜
灰色地帶
海纜登陸點
通訊備援
兩岸
潛艦
四川艦
076型兩棲攻擊艦
下水
杜文龍
雙艦島
帕布颱風
越南
巔峰
日本氣象廳
四川
三星堆
外星人
馬英九
訪問
大九學堂
古蜀文明
天兔颱風
解除陸警
高屏地區
海警
強度減弱
下雨
輕颱
陣風
萬宜颱風
暴風圈
東北季風
東部
南部
中央氣象署
停班停課
風雨預測
降溫
觀氣象看天氣
屏東
藤原效應
恆春半島
熱帶低壓
陸警
高雄市
海上颱風警報
颱風路徑
恆春
菲律賓
銀杏颱風
屋頂
雜貨店
大樹
東山島
季麟連
海軍陸戰隊
LVT登陸車
海軍陸戰隊司令
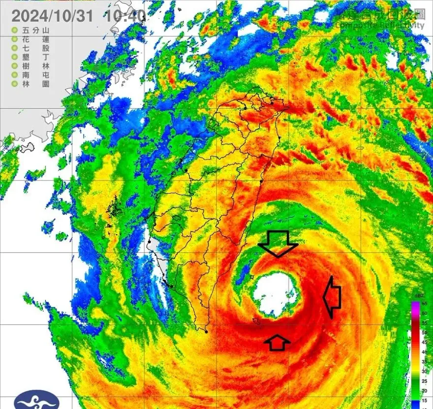
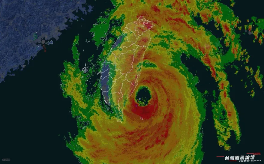
康芮颱風
中颱
強颱
防颱
CTWANT
康芮
賈新興
尤特
瑞伯
勞動部
台東成功鎮
風力
鄭明典
氣象
近岸增強
中央氣象台
福建
浙江
預警
秋颱
宜蘭
中央山脈
強風豪雨
颱風假
中部
吳聖宇
天氣職人吳聖宇
陸上警戒
10月
吳德榮
台東
大眼颱
氣象署
登陸時間
讀賣新聞
棧橋