有237項結果
台北地檢署
北檢
柯文哲
檢察官
京華城
黃帝穎
朱亞虎
麥當勞
漢堡
黑色斑點
食安
詹皇
LeBron James
洛杉磯湖人
湖人隊
湖人
金馬獎
鍾楚曦
如果奔跑是我的人生
許娣
侯雯元
以色列
總理
納坦雅胡
伊朗
人民
...
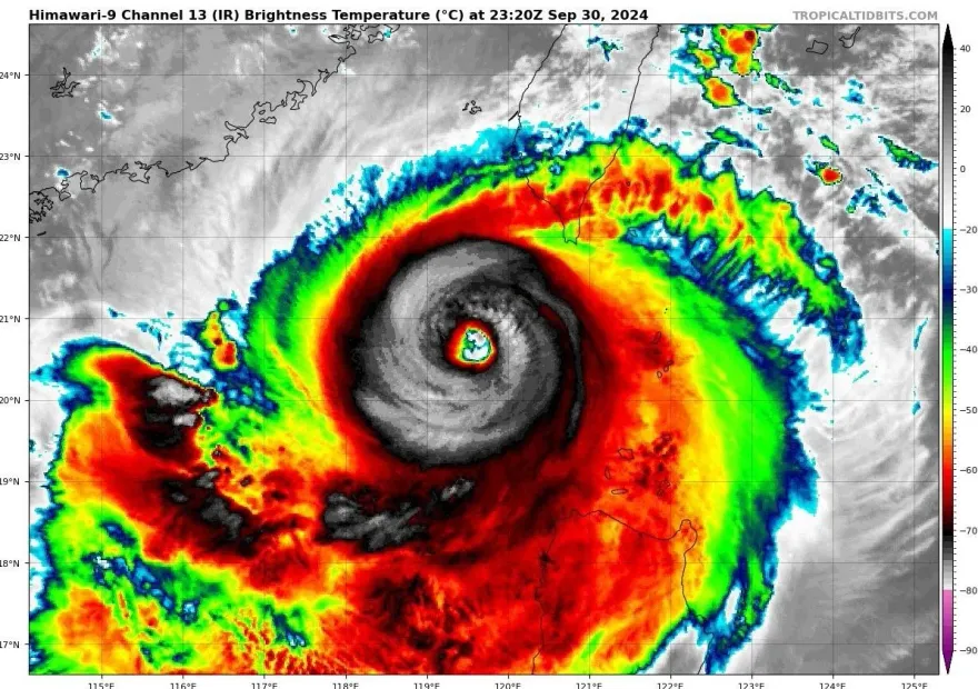
颱風
山陀兒
外圍環流
大雨
豪雨
雨勢
天氣
氣象
馬刺
馬刺隊
聖安東尼奧馬刺
文班亞馬
保羅
Victor Wembanyama
遠距
工作
上班
WFH
英國
研究
海警
陸警
山陀兒颱風
日本氣象廳
颱風路徑
二度撲台
S型
限貸令
信用管制
金龍海嘯
首購族
新青安貸款
京華城案
台北市長
郝龍斌
李文宗
趙少康
游淑慧
Bronny James
疾管署
門急診
腸病毒
嬰幼兒
併發重症
克沙奇A型
高危險群
新北
河濱公園
拖吊
停車場
新北河濱公園
強制拖吊
日本
首相
石破茂
眾議院
參議院
登革熱
確診
陽性
本土病例
監察院
立法院
總預算
水電
賴清德
將官晉升
三軍統帥
國防部
沈富雄
戴瑋姍
精舍
運屍
羈押禁見
颱風天
李雅英
台啤雲豹
台啤永豐雲豹
國民黨
台北市議員
陳重文
台智光案
監視器
台北地院
合議庭
所長殉職
劉宗鑫
殉職
清水派出所
土城
婚紗照
家庭照
大陸
恆大
深交所
債券
上市
許家印
恒大集團
處分
趙小僑
劉亮佐
結婚
劉子銓
典典
典典寶寶
電影
旅居國外
旅人生活
張麗善
韓國瑜
中華民國
國慶煙火
國慶煙火在雲林
火災
火警
透天厝
台中
新北市衛生局
肌肉痠痛
中和區
本土登革熱
紅疹
CTWANT
心臟病
心臟
心臟疾病
健康
大排水溝
旗山
高雄
修樹木
大水圳
柯志恩
2026高雄市長
民進黨
潘孟安
軍方
黎巴嫩
真主黨
美國
以哈戰爭
地面戰
神舟十八號
太空站
航天員
連線
發射
神舟十九號
央視
大谷翔平
大聯盟
mlb
道奇
水庫
臉書
教育
史丹佛大學
南加州大學
禁止
校友
名校
大學
毒品
清水
蔬菜
掃貨
補貨
好市多
搶貨
敘利亞
大馬士革
主播
攻擊
國慶晚會
黃牛票
江蕙
大巨蛋
洋香瓜
農民
小犬颱風
程序委員會
莊瑞雄
王鴻薇
南屯
自刎
揮刀自殘
強颱
台南
降雨
房東
台中火車站
後站商圈
收租
租客
網紅
重機
噴飛
抖音
正妹
菜價飆漲
營養師
營養素
每日健康
開根號
日期
數學
完全平方日
正方形
完全平方
總預算案
卓榮泰
和解飯
李程彬
超市
胡蘿蔔
嘉義
毒販
喪屍菸彈
警員
將官晉任勗勉典禮
茶敘
立威
顧立雄
三峽
毒駕
前科
吸毒
吳卓源
朱軒洋
Cindy
小三
鄉民老婆
何心蒂
搜狐網
星座
命理
財運
天秤座
銘傳大學親善服務隊
雙十國慶
禮賓接待人員
勇士
大都會
響尾蛇
國聯
氣溫
高溫
庭訊
派出所所長
女毒蟲
惡意殺人
停班課
不斷更新
巴貝多
船難
蘭嶼
海巡署
所長
金馬影帝
吳慷仁
壹心娛樂
國慶
追撞
漢翔公司
胡開宏
五楊高架
BMW
防颱
淹水
氣象署
邊境查驗
食藥署
哈密瓜
水蜜桃
農藥
陶斯松
進水
空勤總隊
礦砂船
李玟
CoCo
彩蛋
Nancy
李秋林
李思林
布朗尼
辣椒粉
辣椒乾
紅花椒
農藥殘留超標
颱風假
停班停課
蔣萬安
基北北桃
統一發票
發票
千萬
特別獎
超商
對獎
中獎
持刀砍人
死傷
殺人
襲擊
逮捕
上海
內閣總辭
岸田文雄
俄羅斯
F-16
蘇愷35
不安全
戰機
習近平
中共
一中原則
九二共識
兩岸
招待會
反台獨
大雨特報
豪雨特報
徐榛蔚
劉世芳
中央災害應變中心
保全戶
永康
菜市場
囤貨
謝國樑
罷免謝國樑
民調
中廣
全壘打
強風
登陸
風力
風速
標準
風雨預測
女毒販
拒絕盤查
清水所長
衝撞護欄
紐約時報
CNN
超級颱風
疫苗
打疫苗
左流右新
公費疫苗
崑山菜市場
國慶大會
國慶焰火
新冠肺炎變異株JN.1
流感疫苗
新冠疫苗
疫苗廠牌
共伴效應
鄭明典
南部地區
第四作戰區
陸軍第八軍團
救災裝備
死亡事件
朋友
住家
吳奇隆
小虎隊
戲劇
綜藝
保全
工作人員