有191項結果
...
口罩
配戴
解封
新冠
全球疫情
中央疫情指揮中心
李秉穎
美國
撤離
烏克蘭
俄烏戰爭
美俄
國慶
F-5戰機
勇鷹高教機
空軍
家庭
星座
家人
親情
周玉蔻
沈富雄
蔣孝嚴
2022九合一選舉
蔣萬安
緊急動員令
普丁
日本
金融
資產
財富
入境
國境
開放國境
出境
汐止
變態
性騷擾
臉書
2022九合一大選激戰
台灣
一中
霸權
全球治理
大陸外交部
中共二十大
收賄
貪污罪
前南投縣長
全案
火警
林森北路
民宅火警
巴拉圭
投資
陳偉殷
世界棒球經典賽
美食
棺材板
阿給老店
肉圓
癌症
腫瘤
尿液
癌王
胰臟癌
外科醫生陳榮堅
醫師好辣
狗
寵物
寵物狗
黃金獵犬
微博
NCC
楊植斗
警察
毒品
淡水
帽子
竊嫌
日圓
美元
貨幣
SWIFT
外匯
發燒
糖尿病
肝病變
免疫系統
細菌感染
肝功能損傷
骨癌
全民星運動會
林家佑
巴西
跨河大橋
坍塌
C羅
打工
失聯
求職
KK園區
詐騙集團
飆車
名車
租車
國道3號
吊扣牌照
學位
警大
壓力
甜食
炸物
心情
巧克力
今健康
情緒低落
快樂
屍體
槍擊
網紅
墨西哥
影片
俄羅斯
布林肯
基輔
林奕華
雲林
貧窮
低收入戶
台灣心義工團
高血壓
爨
姓氏
生僻字
罕見
大陸
外交
南太平洋
白宮
婦人
意外
深谷
消防隊
墜落山谷
苗栗獅潭鄉
死亡
小胖
陳文茜
袁惟仁
小胖老師
文茜的世界周報
遺照
國慶連假
森林遊樂區
半價
拜登
飢荒
國際組織
美國議員
經濟
民生
第四季
李克強
大S
徐熙媛
具俊曄
裴偉
鏡週刊
鏡電視
杜蘭特
西蒙斯
邊境管控
衛福部
梓梓
董梓甯
真人版娜美
拉拉隊女神
E奶
財運
巨蟹
牡羊
巨蟹座
財運旺
星座運勢
牡羊座
潑漆
林沖
攝護腺癌
鑽石歌王
攝護腺癌症第三期
逆風的烏鴉
習近平
中日關係
岸田文雄
習近平賀電
過敏
飲食
營養師
抗過敏
食物
酒精
失智
小酌
提告
性騷
ktv
新竹KTV
朋友的女朋友
男子
Ime Udoka
Jay Larranaga
Boston Celtics
Adrian Wojnarowsk
NBA
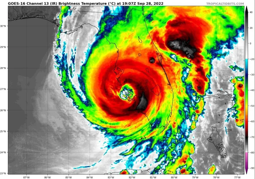
颱風
颶風伊恩
佛羅里達州
災難
出國
機票
小資族
超商
全家
優惠
萊爾富
7-11
國際咖啡日
OK mart
美軍
北約
軍援
林智堅
著作權法
論文抄襲
余正煌
泰國
祭祀
好兄弟
祭拜好兄弟
日本料理
新北
三重
焦屍
忠孝橋
河濱公園
動員令
莫斯科
林耕仁
高虹安
沈慧虹
新竹市長選戰
竹科媽媽
氣爆
餐廳
長春
瓦斯外洩
機車
土城
燒毀
起火
警方
調查
原因
佛系
水瓶座
射手座
天秤座
搶案
兇嫌
槍擊案
天道盟
北山會
ATM
萬華
巡邏
圍捕
海洛英
Rapper Coolio
賈吉Aaron Judge
洋基
愛情
運勢
10月
職場
聯結車
五股交流道
陳時中
CBA
林書豪
1996 Charkhi Dadri mid-air collision
性侵
前男友
馬來西亞
復合
北韓
核試
金正恩
韓國
再婚
命案
新北市
火燒車
情敵
情殺
台東
台鐵
列車
玉里
地震
高溫特報
東北季風
明德外役監
逾期未歸
牙齦
紫斑
快篩
尿毒
擦撞
眾議院
台灣政策法案
NHC
Hurricane Ian
Monster Hurricane
catastrophic storm surge