有218項結果
梁詠琪
演唱會
黃捷
高雄
淹水
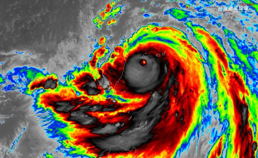
凱米颱風
國台辦
颱風
陳斌華
大陸
高雄市政府
停水
停電
台鐵
火車站
苗栗
火警
台彩
大樂透
屏東
...
曹興誠
謝寒冰
沈伯洋
蘇紫雲
兩岸
解放軍
許采蓁
大雨特報
耳機
Ubike
監視器
侵占
中正區
外籍男
地震
天氣
氣象
氣象署
台灣颱風論壇|天氣特急
巴黎奧運
2024巴黎奧運
開幕式
法國
縱火
炸彈
機場
韓國瑜
羅智強
強颱凱米
雲林
落水
海巡署
小港機場
高虹安
新竹
郭台銘
歷史哥
市長
日本
沖繩
旅館
陳屍屋內
課程
斂財
凌虐
刑事局
夫妻檔
心靈成長
校園
校園意外
死亡證明
印度
盧秀燕
美國
台中
王冠閎
台灣蝶王
韓安齊
教召
花蓮縣
漢光演習
道路中斷
後備旅
追撞
等紅燈
機車
公車
小巨蛋
北檢
陳水扁
陳敏薰
洗錢
高院
林耕仁
判刑
貪污
火車出軌
出軌意外
停班停課
開幕
塞納河
安全
軍方
奈良
網友
保護
動物
Albee
范乙霏
落枕
急診
TAT亞洲巡迴賽
魔獸
台灣野馬
霍華德
傷亡人數
傷亡
嘉義
病故
冰箱
冰存
殯儀館
真相
資策會
著作權
新竹市長
台北地院
TIOT
《Fan Concert<TIOT IS LOVING TAIPEI>》
聖火
美國男籃
詹皇
LeBron James
台股
金管會
股市
科技股
抽水機
南部
鴨子
鴨農
萬丹鄉
王鴻薇
民進黨
陳建仁
蘇貞昌
陳其邁
汽車
食物
車禍
賴清德
補助
加州
國家公園
歐洲
遊客
灼傷
臉書
拜登
賀錦麗
歐巴馬
副總統
支持
肩膀
病痛
疼痛
肌腱炎
北市聯合醫院
立法院
衛福部
健保點值
陳時中
健保署
公務預算
大學生
詐騙集團
共同詐欺取財
奧運
明道
COZY PUNCH
小吳
見習網美小吳
紀卜心
十盛熟成奶茶專賣店
奶精
桌球
馬龍
金牌
南投
南投縣信義鄉
南投信義鄉
信義鄉
台大醫院
減肥茶
冒用
粉絲專頁
臉書藍勾勾
中央社
阿里山森林鐵路
維修員
德州
墨西哥
毒梟
落網
美國大選
總統
教師
生肖
財運
運勢
維他命B群
B群
CTWANT
營養師
營養品
補充
山崩
家庭
財富
台南
死亡
大內
漂流木
台東
富岡
海巡
表弟
卡森斯
庫克
高鐵
手搖飲
嚴立婷
遊學
英國
冷氣
代表隊
奧運村
餐廳
香蕉
法國麵包
廚師
四川
詐領助理費
艾菲爾鐵塔
體育
李洋
謝淑薇
曹家宜
失智症
杏輝醫藥集團
公益活動
亞洲生技大展
西班牙
納達爾
傷勢
國軍
軍機
水災
工程師
糖尿病
工作壓力
肝臟發炎
心血管疾病
魏士航
減重
骨鬆
藥物
藥物治療
研究
花蓮慈濟
成功大學
台灣大學
肺癌
死亡率
癌症
花蓮
租屋
宜蘭縣
大同鄉
南山國小
交通受阻礙
鼻屎
挖鼻孔
結痂
淋巴癌
台北榮總醫院
耳鼻喉科
戀人
星座
愛情
特質
戀愛
彩券
竊盜
毒蟲
颱風夜
趁火打劫
熱炒店
環太平洋軍演
RIMPAC
澳洲
荷巴特級
NSM海軍打擊飛彈
金門
小三通
停航
分手
水餃
瓦斯桶
下班
外場人員
女神卡卡
席琳狄翁
阿雅中村
游淑慧
雨帶
降雨
貨輪
擱淺
救援
獲救
船員
西鎮村
張麗善
便當
新竹地檢署
豪宅
都更
游泳
危險
姜冠宇醫師
感染
舔馬桶
西寧
籃球賽
烏魯木齊
國中
老師
賞巴掌
打耳光
台電
電價
調漲
電費
輔仁大學
凍漲