有302項結果
杭州亞運
林庭謙
日本
金牌戰
約旦
...
Linbay好油
林裕紘
自導自演
國民黨
謝龍介
派系鬥爭
陳吉仲
吳音寧
巴西蛋
超思
農業部
蔡易餘
側翼
夏立言
兩岸
中國大陸
九二共識
老闆
女員工
偷拍
性交
離職
恐嚇
竊盜
住宅
新店
監視器
毒品
特徵
高雄
化學物質
氣體外洩
有毒
全紅嬋
逆轉
鬼
哥倫比亞
夢魘
惡魔
中華男籃
4強
棒球
中國
台灣
完封
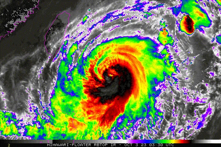
小犬颱風
颱風
台鐵停駛
鮑魚
皮夾
點餐
盜刷
亞運
新北市
罐裝瓦斯
罰鍰
瓦斯
馬文君
潛艦國造
黃曙光
郭璽
蔡清祥
洩密
拳擊
賴主恩
金牌
ECFA
馬英九
蔡英文
中颱小犬
颱風路徑
監察院
賴士葆
李俊俋
憲法
條通
殺人未遂
菜刀
債務
攀岩
中華隊
16強
24節氣
轉運
泡腳
秋天
運勢
吳詩儀
彭名揚
小犬
盧秀燕
台中
泰國
槍擊案
購物中心
曼谷
小曉
陳意涵
侯友宜
總統
備戰
愛拚才會贏
避戰
候選人
美國
美國國會
跨欄
颱風假
停班停課
航班
海運
空運
解放軍
國軍
海軍
演習
玉山艦
康定級艦
最強菜農
林佳新
霹靂布袋戲
農業
松山區
行人地獄
穿越馬路
撞飛
中天車享家
Toyota
租車
和泰汽車
和運租車
TOYOTA Yaris Cross
包裹
監控
安非他命
甘家葳
奧運
潛艦
楊植斗
視力
CTWANT
黃斑部病變
追劇
金馬60
影帝
阮經天
吳慷仁
王柏傑
許光漢
林柏宏
登陸
辛曉琪
演唱會
女星
賴慧如
市井豪門
曾子益
民調
黃揚明
民進黨
戴資穎
陳雨菲
樂天桃猿
領隊
人事異動
澄清
梁文音
歌姬
出道
台北
驚喜
羅時豐
執行長
服飾品牌
性剝削
模特兒
諾貝爾
物理
得獎
周天成
球迷
大陸
十一長假
新人
結婚
婚宴
婚禮
紅包
第四作戰區
中央氣象署
投手
免費
大媽
河南
賣場
蛋糕
箔子寮漁港
強風
落海
攻擊
木棍
心情不好
港星
鄭少秋
伴侶
輕生
教會
後事
金馬
遼寧
連假
返鄉
父母
兒子
特產
宋羽葤
天才衝衝衝
小明星大跟班
吳宗憲
胡瓜
熊霓
綜藝大集合
苗栗縣
防颱準備
疫苗
公費疫苗
流感疫苗
媽媽
北投
野溪
溫泉
昏倒
慢性病
徐乃麟
籃籃
曾國城
食藥署
腹瀉
藥物回收
正露丸
王彩樺
測速槍
劉致榮
傷疤
陳凱倫
金鐘
金鐘獎
主持
抗癌
腫瘤
開刀
扁桃腺癌
明揚
屏東爆炸
勞檢
明安
中秋節
月餅
腐壞
拾得遺失物
警方
核廢水
賠償
漁民
福島
芝加哥
機場
杭州
夫妻
國慶
蔡政府
鄭麗文
台獨
中華民國
Taiwan
心肌梗塞
心臟衰竭
急性心臟衰竭
過勞
過度勞累
氣喘
胸悶
心悸
實境
林美秀
黃豪平
羅東
宜蘭
水豚君
南投草屯
飼主
逃跑
天氣
關節
關節痛
骨頭
銀髮族
保護
500萬
弘仁會
黑幫
游淑慧
羽球
自由車
杜志濠
連環追撞
何美鄉
單曲
闌尾炎
麻油
NOW健康
便祕
黑芝麻
漏尿
尿失禁
泌尿科
政大
女大生
墜樓
烤肉
熱量
月經
月經週期
衛生棉
常春月刊
帆船
水上運動