有233項結果
...
家暴
離婚
人妻
全職媽媽
辭職
婆婆
孕婦
身孕
違約金
租屋
房東
合約
貨櫃車
限高
橋梁
板橋
翻覆
漏油
攝護腺肥大
夜尿
市立聯合醫院陽明院區
綠光雷射汽化剜除術
星座
12星座
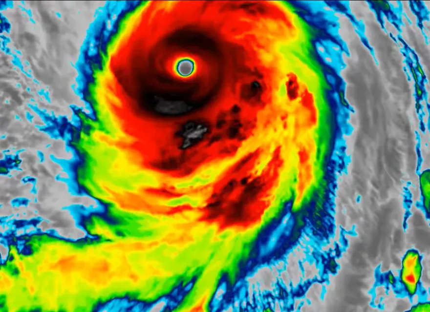
颱風
布拉萬颱風
日本
台灣
強颱
萬華
淫窟
鑽石大樓
李若彤
美國
以色列
哈瑪斯
人質
洋基
mlb
侯友宜
韓國瑜
國民黨
戰鬥藍
2024大選
屏東縣
機車騎士
鋼筋
違規
罰鍰
學校
餐廳
老鼠
丟垃圾
三字經
賠償
和解
桃園
清潔隊
和平高中
恐嚇
大屠殺
加強警力
販毒
新年快樂
失聯移工
蘆洲
逃亡
印尼
捷運站
輕生
韓藝瑟
抹黑
陳屍
封鎖
名嘴
死亡
保全
社區
小孩
住戶
趣事
骨質疏鬆
翰鳴堂中醫診所
賴睿昕中醫師
酸性體質
不良飲食習慣
威廉
卓君澤
棒棒堂
主播
寶寶
埃及
以巴衝突
屏東
榮民總醫院
工廠
失火
護理人員
薪資
柯文哲
2024總統大選
產後
愛愛
性行為
許藍方
空姐
殺夫
汽油
更一審
被火燒死
遊騎兵
文湖線
大安
糾紛
捷運
醉酒鬧事
妨害公務罪
蔣萬安
台北市長
李四川
林延鳳
台北副市長
回饋金
app
消費者
會員
優惠券
求職
車手
台東
應徵
投資
眼球
位移
退出演藝圈
演藝圈
告別作
轉機
高慧君
金鐘獎
西濱快
馬英九
李乾龍
彰化
婚後
毒品
共犯
婚姻
刑事
柯美蘭
臉書
花蓮
富里
永續發展
哈雷
烏托邦
瑪娃
國民法官
司法院
律師
法官助理
法扶
調解
趙少康
潛艦國造
黃曙光
黃珊珊
DNA
五月天
諾亞方舟
廣州
黃牛
點歌
演唱會
詐欺
基層
法院
人力
案件
道奇
響尾蛇
季後賽
向心夫婦
共諜案
國安法
抽菸
NanaQ
舊照
戒毒
國中
戒菸
戒斷
聯準會
通膨
利率
華視
總經理
請辭
公視
土地
苗栗
死豬
苗栗銅鑼鄉
工業區
農業
經營
盧秀燕
雙十國慶
花敬群
地震
裂痕
車速
安全
遠見
維持現狀
兩岸關係
蔡英文
親中反美
親美和中
和美和中
李明珊
丟丟妹
旺旺孝親獎
直播
孝順
刮刮樂
中獎
自來水公司
新北
停水
基隆
水壓
用水
朱立倫
副主席
產婦
江蘇
病床
拿鐵
全家
萬聖節
國道車禍
湖口
追撞
連環車禍
台二線
毒氣
大陸
駭客
個資外洩
新竹
逃逸移工
追捕
imB詐騙
吸金
宜蘭
網路借貸
銀行
扣押
新光醫院
心臟內科
陳冠任醫師
心肌梗塞
壞膽固醇
心導管
心臟病
芝加哥
大樓
攀爬
職業
職業病
腰痛
緊張
手腕
肩膀
球棒隊
砸車
詹雅雯
鄭弘儀
帕金森氏症
手術
斷食
馬祖
泰山企業
高粱酒
國慶
八寶粥
國宴
藍眼淚
南竿
寒露
辣妻主播何橞瑢
開箱
零食
解饞
過失致死
爆炸
廢爐渣
高雄
食農
青農
創新
飲食
永續
早晚溫差大
NOW健康
入秋
心血管疾病
高血壓
腦中風
膽囊
敗血症
腹膜炎
壞死
張斯綱
民進黨
張宏陸
論文抄襲
大久保勇太
合租
士林
公寓
火警
生命跡象
昏迷指數
結婚
網紅
結紮
謾罵
影片
台中
性騷擾
襲胸
治療
衛生局
判決
費城人
Bryce Harper
勇士
金溥聰
藍白合
新疆
十一長假
改造
旅遊
觀光
網紅景點
賴清德
火燒車
休旅車
自燃
印度
火車
出軌
事故
議員
顏旭懋
安毒
無期徒刑
加薩走廊
邱國正
國防部
烘焙師
好市多
泡芙
內餡
汪小菲
大S
徐熙媛
復婚
具俊曄
郭璽
馬文君
足球
北市
體育
世界盃
世足
中華男足
大谷翔平
街友
縱火
台灣大道
黃子韜
緋聞女友
南韓
夜店
告白
EXO
經紀公司
認愛
流感
COVID-19
RSV
吳昌騰醫師
小兒科醫師
接種疫苗
豬肉
標示
統一發票
中獎號碼
千萬大獎
啦啦隊
前國手
買毒
行竊
勒斃
滅口
巴勒斯坦
戰爭
陸外交部
通話
共諜
向心
洗錢
限制出境