有323項結果
聲量
2024大選
侯友宜
賴清德
柯文哲
...
國民黨
全代會
2024總統大選
鄭麗文
歇業
財務危機
五互集團
俄羅斯
烏克蘭
無人機
空襲
黑海
禮讓
火鍋店
湖南
大陸
高鐵
車廂
熊孩子
踢球
恐龍家長
通緝犯
擁抱
攔檢
嫩女友
高雄
膠原蛋白
作息
健康醫療網
mlb
美國職棒
大聯盟
皇家
失誤
蘇怡寧
禾馨
蝦紅素
美醫誌
葉黃素
陳怡安
護眼
鮭魚
陳喬恩
常春月刊
涼麵
營養師
高敏敏
熱量
選美
台裔
戰爭
OnlyFans
性需求
金磚國家會議
中央外辦主任
王毅
網路
政黨輪替大聯盟
陳長文
邱臣遠
韓國瑜
李四川
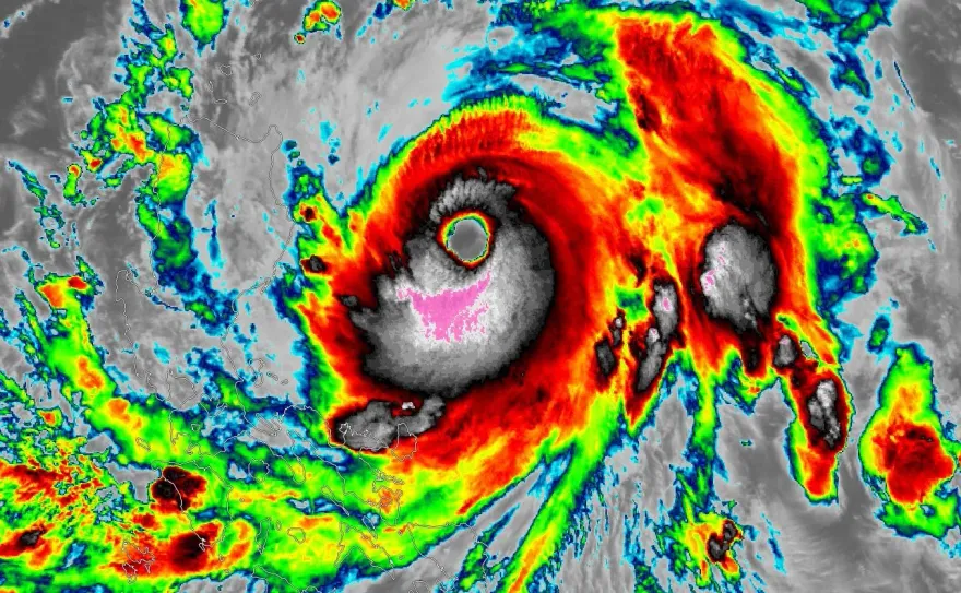
颱風
合歡山
南投
強風
土耳其
求婚
砲彈
國軍
國防部
金溥聰
汪小菲
大S
日本
張蘭
地理
北京
西安
中央氣象局
杜蘇芮颱風
台東縣政府
管制
摸臀
摸臀之狼
士林區
正妹
熊抱
便利商店
#MeToo
浙江
拉麵店
店休
告示
狂言
搶婚
郭正亮
兩岸
美國
初夜
第一次
前戲
感情
痔瘡
瘦身
減肥
減重
油脂
李蒨蓉
腫塊
搬家
食藥署
香港腳
皮膚科
迷思
網路偏方
暴風圈
降雨
NBA
足球
姆巴佩
希拉爾
沙烏地阿拉伯
詹姆斯
詹皇
字母哥
乳癌
篩檢
癌症
乳房X光攝影
乳房X光攝影檢查
厄瓜多
挾持
販毒
緊急狀態
犯罪
監獄
腹痛
嘔吐
肝吸蟲
寄生蟲
寄生蟲感染
CTWANT
蘋果
iOS 16.6
系統更新
太平山
宜蘭
台北流行音樂中心
北流
監察委員
小琉球
巴金森病
帕金森氏症
照護線上
焦慮
邱國正
螃蟹
下海
阿北
獅子公園基隆轄區
基隆
不治身亡
視力
近視
散光
uho優活健康網
口臭
臭味
腸胃健康
低血糖
失智
腦部危害
飢餓
陸軍
鼎泰豐
小籠湯包
燙傷
產業鏈
性犯罪
盧秀燕
天道盟
胰臟炎
前總統
歐巴馬
廚師
溺斃
強颱
中颱杜蘇芮
陸警
陳學聖
彈藥庫
爆炸
韋安
吳子嘉
濁水溪
減脂
減脂餐
健康餐
綠拿鐵
牙醫
乳牙
換牙
超商
北市衛生局
生鮮肉品
即食
外食族
民進黨
大嘻哈時代
健保費
收據
滯納金
保險費
工地
鋼筋
外送
物流
游泳
世錦賽
霹靂油俠
台中
柴油
偷竊
接管
尼日
油罐車
汽油
翻覆
台灣颱風論壇|天氣特急
二次確診
新冠肺炎
希拉爾隊
阿根廷
梅西
法國
巴黎
聖傑曼隊
高雄壽山動物園
親水廣場
暑假
失足
幼童
海上警報
賈新興
棒球
中職
富邦悍將
熱浪
高溫
熱死
大谷翔平
學貓叫
網紅
甲狀腺癌
馮提莫
肝纖維化
肝臟
肝硬化
肝癌
民調
政黨
末期
NOW健康
皮膚科醫師
玻尿酸
保濕
南韓
毒氣
包裹
外交部
台灣
中轉
陳建仁
氣象局
新竹
釣魚
五峰鄉
陳建州
黑人陳建州
大牙
動機
律師
性騷擾
民事訴訟
紐西蘭
酒駕
下台
革職
心臟痛
主動脈剝離
死亡
丟命
天使
交易
黑人
檢察署
周宜霈
以色列
司法改革
法案
爭議
罷工
兵役
北京大學
清華大學
預約
黃牛
貓熊
熊貓
可愛
動物
板橋
槍枝
新北市
中和區
墜樓
當場死亡
颱風眼
國民黨全代會
黑龍江
體育館
坍塌
排球員
活埋
彭啟明
天氣
最新民調