有302項結果
鹹蛋
粉色
綠膿桿菌
食材
食材保存
警察
最高行政法院
雞排妹
鄭家純
中正萬華
2024立委選舉
劉耀仁
墨西哥
石油公司
爆炸
黑痣
癌症
私密處
黑色素瘤
惡性腫瘤
減肥
徐巧芯
NCC
唐鳳
陳耀祥
詐騙
王治平
簽約
偽造文書
陶喆
逃兵
國防部
投票
保險
金融
旺旺中時金融獎
服務
恐嚇
清水孟國際塔羅小孟老師
運勢
陰經龍
持刀砍人
2024總統大選
侯友宜
柯志恩
企鵝妹
吉娜
流浪狗
日本
外送員
行車糾紛
毆打
照護線上
甲狀腺
甲狀腺低下
內分泌
香港
婦人
侵犯
扁桃腺發炎
西城男孩
安可場
北流
台北流行音樂中心
演唱會
新冠
疫情
covid
Omicorn
天選之人
捷運警察
女警
台北車站
...
香港腳
不透氣
潮濕
常春月刊
除腳臭
高傳染性
瑪娃颱風
高雄
小港區
國稅局
財政部
報稅
廁所
解雇
員工
盜伐
警方
新竹
手機
筆電
充電
直播
直播主
小提琴女神
渣男
酒店小姐
詐騙集團
桃園
紅火蟻
岸田文雄
北約
G7
太空
小S
徐熙娣
小姐不熙娣
溫昇豪
邱凱偉
禾浩辰
喝酒
夜店
豔遇
台肥
王鴻薇
imB詐騙
陳琬惠
交通部
王國材
陳建仁
胎動
台中
鵝肉店
NBA
魔獸
邱國正
潛艦國造
涼麵
台北市政府
衛生局
DJ
女DJ
爆乳DJ
南韓
南韓網紅
喝醉
腸病毒
李四川
龍應台
中央氣象局
郭鬼鬼
林襄
老鼠
髒亂
衛生
焦慮症
精神疾病
喉嚨
臉書
Meta
AI
AR
VR
漁船
救援
鵝鑾鼻
菲律賓
屏東
面相
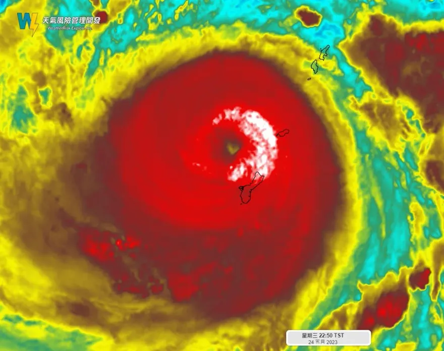
關島
颱風
瑪娃
大陸
習近平
俄羅斯
總理
會見
中俄關係
俄烏戰爭
OnlyFans
出國
免錢
外遇
小王
老王
77老大
林心如
女星
認愛
樂天桃猿
統一獅
不動產借貸媒合平台im.B
蔡清祥
im.B
吃泡麵
颱風天
防腐劑
嫚嫚營養師
木乃伊
今健康
杜拜
貴婦
網紅
精品
TikTok
企業家
風水
破財
垃圾堆
同事
壞話
錄音
半澤直樹
市川猿之助
加工自殺罪
服藥
共機擾台
賠償
上海
魚鉤
餐廳
廣東
小學
體罰
女老師
開除
家長
慰留
下水
海軍
氣象局
彭啟明
子宮
子宮頸癌
CTWANT
詹家姊妹
謝淑薇
諾羅病毒
黃立民
食物中毒
腸胃炎
新冠肺炎
學校
管制
防疫
荷蘭
癱瘓
脊髓
腦部
城隍廟
柯建銘
新竹市
銀行
亞洲
賴清德
潘孟安
郭正亮
陳水扁
國民黨
嘉義
黑吃黑
毒品
私處
護理師
感染
陳以信
九二共識
聯合國
科技
滑手機
低頭族
學生
柯文哲
柬埔寨
姊妹淘
豬仔
金宣虎
海岸村恰恰恰
前女友
台北國際會議中心
小孟老師
財運
中獎
生肖
威力彩
美國
火災
遺言
陳沂
新北市
板橋區
道路下陷
路面掏空
格鬥
選手
保全
超商浩克
買車
買房
陳歐珀
賴士葆
泰國
掏空
落網
天氣
下雨
侯明鋒
曾銘宗
吳子嘉
1450
總統大選
共和黨
迪尚特
川普