有303項結果
...
2024總統大選
郭台銘
侯友宜
柯文哲
鈕則勳
中評社
李多慧
浪LIVE電豹女
電豹女
教育部
台北市
學生
開學
木曜4超玩
離職
陳百祥
製作人
麥卡貝
美國
核心
天使隊
大谷翔平
國民黨
游盈隆
黃子哲
台灣民意基金會
賴清德
黃揚明
炸彈威脅
炸彈
動物園
華盛頓
酒駕
自撞
萬華
共享機車
鼻腔
電池
流鼻血
CTWANT
檢查
生鏽
鈕扣電池
過敏
丹宇養生氣功床墊
氣功
床墊
士林
衛生局
罰鍰
誇大
癌症
止汗劑
食藥署
衛生福利部
高雄
拖延症
沒興趣
困擾
完美主義者
夢想家
擔憂
每日健康
民調
背信
陳以真
楊偉中
女兒
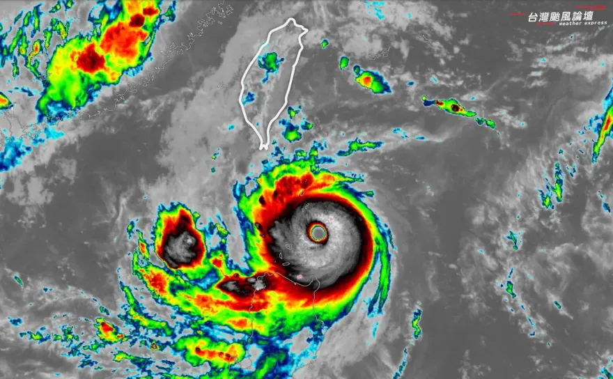
颱風
蘇拉颱風
李四川
鳳山
毒品
安非他命
二級毒品
菸盒
小一新生
美女警
科學家
研究
人猿
進化
花蓮
台灣黑熊
入侵
雞舍
健人蓋伊
速食
控制熱量
精液品質
內臟脂肪
低密度膽固醇
蔡凡熙
桃園
電影節
信義區
包場
擦撞
鄧佳華
FBI帥哥
賴品妤
黃捷
民進黨
性騷擾
星諠
網美
謝衣鳳
總統
罰站
蘇拉
台鐵
行駛
大陸
浙江省
鼓勵生育
少子化
結婚
波麗士
警察
台中
俄羅斯
花式滑冰
美少女
學童
氣象局
屏東
恆春
大雨
花東
蘭嶼
綠島
台南
大學
墜樓
命危
明道
懷孕
前世情人
麻糬
騎錯車
睡眠呼吸中止症
中國醫藥大學附設醫院
打呼
睡眠中心
居家睡眠檢測系統
腹瀉
甲溝炎
急診
服藥
服用
睡覺
做夢
春夢
性生活
潛意識
台北上海雙城論壇
兩岸關係
蔣萬安
鴻海
賴士葆
政大
冷氣
砸死人
板橋
犯罪被害補償
養貓
性感
性伴侶
寄生蟲
吸引力
預算
曾銘宗
陳以信
暴風圈
台東
天氣
雨量
子癲前症
高血壓
孕婦
剖腹產
林新醫院
水腫
金鐘
金鐘奬
主持人
女主持人
蔡尚樺
T1
聯盟
林秉聖
情變
腸病毒
開學季
升溫
水泡
Enews
榕樹下米苔目
美食
臉書
西南氣流
海水倒灌
Lulu
海關
黃路梓茵
旅遊
機場
NCC
國家傳播通訊委員會
詐騙集團
保時捷
全新
新車
國運籤
先嗇宮
黃格格
城中城
縱火
二審
無期徒刑
渡邊雄太
日本
奧運
新北市衛生局
石碇
登革熱
群聚感染
花蓮港
賞鯨
碼頭
損失
味全龍
失誤
樂天桃猿
季節性情緒失調
秋天
食慾
換季
生活作息
失眠
褪黑激素
河北省
蟑螂
包裝
潮健康
原型食物
飲料
含糖
糖分
哈佛
卡路里
肥胖
MG ZS
全景天窗
六向電動椅
前雙座加熱
360度環景
後座出風口
旗津
淹水
中元普渡
農曆七月
傳承
祭祀
孝親
MP9衝鋒槍
槍枝
王思佳
小S
陳沂
老公
核廢水
輻射
瘋搶
檢測
建材
福島
核電廠
蘇一峰
普丁
普里格津
葬禮
瓦格納集團
國健署
吸菸
戒菸
大專院校
七夕
健康醫療網
T值
蘋果
iPhone
手機
Apple
iPhone 15
北捷
列車
冒煙
捷運
劍潭站
世界盃
星座
運勢
逆行
雙子
魔羯
水瓶
共機擾台
國防部
海峽中線
解放軍
天使
mlb
沈富雄
農業部
雞蛋
蛋荒
補助
陳吉仲
羅智強
鄭麗文
詐騙
養老金
絕望
輕生
超級颱風
熱帶氣旋
陳吉寧
上海市
張育成
山道猴子
商標權
註冊
神作
中國好聲音
那英
演唱會
浙江衛視
導師
國道車禍
連環車禍
追撞
威力彩
天秤座
摩羯座
金牛座
雙魚座
夜市
饒河夜市
水果攤
誠信
郭正亮
許育修
美網
盧秀芳辣晚報
辮子妹
國安局
檢察官
檢察長
副局長
國安會
applewatch
智慧手錶
蘋果發表會
陳秋貴
協和門窗
樁腳
爺孫戀
CBA
NBA
暑假
勞保局
勞保年金