有238項結果
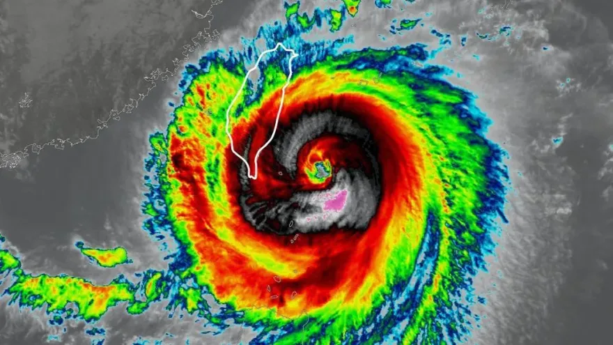
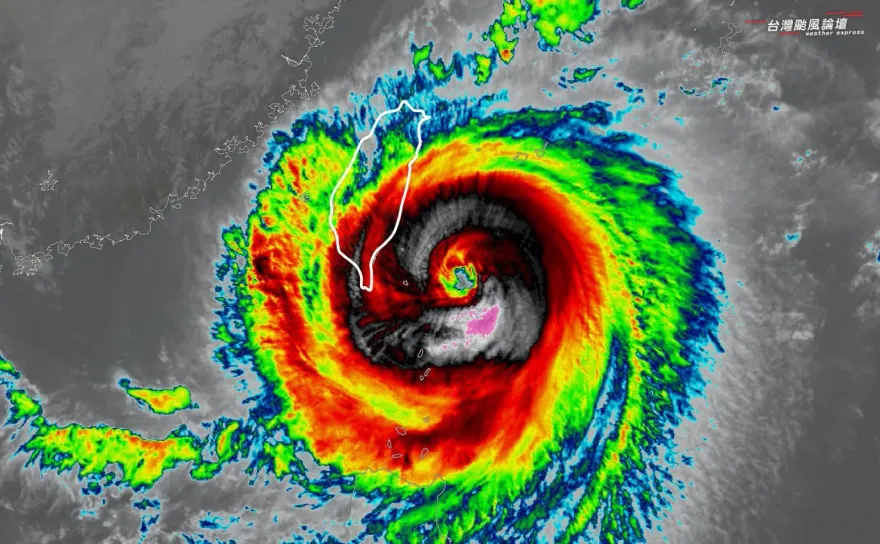
小犬颱風
台中
停電
侯友宜
國民黨
國慶
台海
中華民國
高雄市
鼓山區
災害應變中心
三級開設
搶災機具
新北市
曼谷
購物中心
槍擊
女星
...
高嘉瑜
沈富雄
2024大選
港湖
立委
民進黨
路樹
倒塌
台南
電影
韓國
張震嶽
周華健
任賢齊
蘇慧倫
航班
海運
停航
取消
停駛
鄭明典
蘭嶼
強陣風
阮經天
金馬影帝
金馬獎
高鐵
美人計
債務
債務糾紛
鬥毆
毒品
土城
停班停課
盧秀燕
台中市長
臉書
中颱
Youtuber
泰國
大陸
亞運
花蓮
小犬
預警
封路
林庭謙
蔣萬安
張善政
拳擊
明揚國際
爆炸
消防員
殉職
移靈
鍾東錦
苗栗
放假
台電
台東
中央氣象署
地震
宜蘭
潛艦國造
黃曙光
郭璽
馬文君
郭正亮
切腹
中西區
大樓
磁磚雨
水泥塊
颱風
登陸
賴主恩
新光三越中港店
玻璃門
賴清德
雞蛋
李貴敏
賴麗櫻
民間特偵組
特權
高鐵台中站
國慶連假
自由座
中華男籃
約旦
路樹倒
路樹倒塌
壅塞
杭州亞運
陳念琴
停業
周天成
晉級
屏東縣
屏東三地門
撤離
強風
綠島
2024總統大選
藍白合
柯文哲
蔡正元
韓國瑜
趙少康
停班課
吉安鄉
東海岸
鏡頭君
陣亡
海軍
兩棲突擊車
兩棲偵搜大隊
防災
諾貝爾獎
化學
得獎名單
公布
大腸癌
黑木耳
白木耳
洪永祥
健康好生活
膳食纖維
國道1號
高雄
追撞
回堵
南韓
女神
選美
亞軍
籃球
紫質症
罕見疾病
腹痛
健康醫療網
日本
熊本縣
台積電
晶圓
環境
BIGBANG
勝利
白飯之亂
大道創意料理快炒
房東
臀部
健康
下垂
不對稱
腰痛
膝蓋痛
黃軒醫師
心血管疾病
心理諮商師
余佳容心理師
情緒低落
心理諮商
認識自己
Enews
馬來西亞
化學中毒
器官衰竭
殺蟲劑
益生菌
健談網
輕瀉劑
廖偉呈藥師
營養補充
毀容
叢狀神經纖維瘤
胎記
CNBLUE
鄭容和
台北
天母
巡演
專輯
演唱會
PTSD
CTWANT
創傷後壓力症候群
精神
颱風假
聯絡簿
小學生
減肥
脂肪
白飯
復胖
山西省
一氧化碳
玉米
窒息
中毒
自撞
打滑
受困
檳榔攤
骨折
高虹安
翁達瑞
抄襲
誣告
妨害名譽
中華隊
軟網
男團
銀牌
統一發票
對發票
中獎
千萬富翁
柔道
金牌
楊勇緯
后里
陳玲玲
名嘴
疫情
通告
恐慌
焦慮
面試
新聞挖挖哇
國軍
臺南市
屏東縣政府
Linbay好油
Lin Bay好油
林裕紘
進口蛋
謝龍介
樂團
酒駕
賄賂
交警
司機
罰則
戴資穎
止步
土石流
潛艦
軍購
記者
黃敬平
大新聞大爆卦
巴西蛋
謝金河
吳音寧
陳吉仲
王美花
謝寒冰
薛瑞元
陳耀祥
朱立倫
國慶日
蘇花改
遊覽車
天團
出獄
峇里島
劈腿
射箭
混合團體
湯智鈞
雷千瑩
棒球
關鍵
防颱
災情
日本綜藝節目
綜藝節目
風田
宇珊
餐廳
燒肉
免費招待
縱火
汽油
公寓
精液
台北市
中山區
變態
正妹
噴灑
睡覺
靜態
動態
休息
胰臟炎
急性胰臟炎
理性飲酒
膽結石
多重器官衰竭
休克
駕駛
後空翻
垃圾車
迎親
相撞
新娘
太魯閣國家公園
封閉
遊客
登山
中華
女團
中信兄弟
洋將
藥檢
永不錄用
大雨
雨季
洪水
北台灣
淡水河
基隆河
放水
王定宇
陳以信
洩密
王金平
靈異錯別字
電動木馬
白衣人
靈異
三太子
陸上警報
暴風圈
農作物
農業
果園